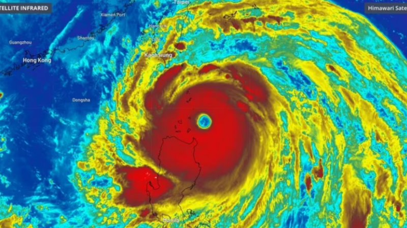
Death toll from super typhoon Ragasa in Philippines climbs to 3
The Philippine Coast Guard (PCG) on Tuesday reported an additional two deaths and six missing in connection with super typhoon Ragasa that battered northern Philippines on Monday, bringing the typhoon death toll to three, News.az reports citing Xinhua.
The PCG said a fishing boat carrying 13 fisherfolk sank off the coast of Sta. Ana town in Cagayan province, resulting in the death of one person and six missing, with six others rescued. It added that the boat capsized due to strong waves while it was anchored and taking shelter.
The PCG also reported that coast guard men found the body of a 67-year-old male on the shoreline of Agoo town in La Union. The victim reportedly went missing after slipping into a river on Monday.
Local authorities reported that a 74-year-old man died after his vehicle was hit by a landslide, along with three cars, while traveling along a highway in Tuba town in Benguet province on Monday afternoon.
Ragasa exited the Philippines on Tuesday morning.





