News.az
Baku, Azerbaijan
11.2°C
52.2°F
Feels like:
9.4°C
9.4°F
| Light rain
Toggle Navigation
Politics
Azerbaijan
Opinion
Region
Analytics
World
Economics
Interviews
exclusives
Central Asia
COP29
Ukraine and Russia at war
Middle East
Culture
Tourism
Sports
Photos
Video
Crypto
India
Evergreen
Explainers (FAQ)
Digital finance
Weather
Currency Converter
News
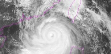
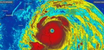
Super Typhoon Ragasa
Tag:
Super Typhoon Ragasa
Hong Kong lowers typhoon alert as Ragasa edges away
24 Sep 2025-11:43
Typhoon forces shutdowns in Hong Kong and southern China
23 Sep 2025-21:50
Death toll from super typhoon Ragasa in Philippines climbs to 3
23 Sep 2025-13:59
Hong Kong issues No. 8 typhoon signal for Typhoon Ragasa
23 Sep 2025-13:03
Ex-HKO Chief says Super Typhoon Ragasa stronger than Mangkhut
23 Sep 2025-10:15
Super Typhoon Ragasa: Heng Fa Chuen hit by flooding as seawater surges inland
23 Sep 2025-10:00
Latest News
Breakthrough in eco-aviation: Chinese researchers release bamboo drone software for free
Drones hit residential buildings in Ukraine’s Sumy -
PHOTO
Iran claims to have downed another US drone over Isfahan
Durov says Russia VPN block caused payment chaos
Official dates announced: 70th Eurovision Song Contest heads to Vienna
Turkiye's Van hit by strong earthquake
Gattuso steps down as Italy coach after failure to qualify for World Cup
Wildfires erupt in Southern California, prompt evacuations
Holy Week mercy: Cuba orders pardon for 2,000 inmates
3 April – World Aquatic Animal Day
Archive
Prev
Next
Jan
Feb
Mar
Apr
May
Jun
Jul
Aug
Sep
Okt
Nov
Dec
2017
2018
2019
2020
2021
2022
2023
2024
2025
2026
Su
Mo
Tu
We
Th
Fr
Sa
1
2
3
4
5
6
7
8
9
10
11
12
13
14
15
16
17
18
19
20
21
22
23
24
25
26
27
28
29
30
31